Close
Georgia Institute of Technology

Georgia Institute of Technology Topographic Survey

Atlanta, GA

Client:
Georgia Institute of Technology
Markets:
Services:

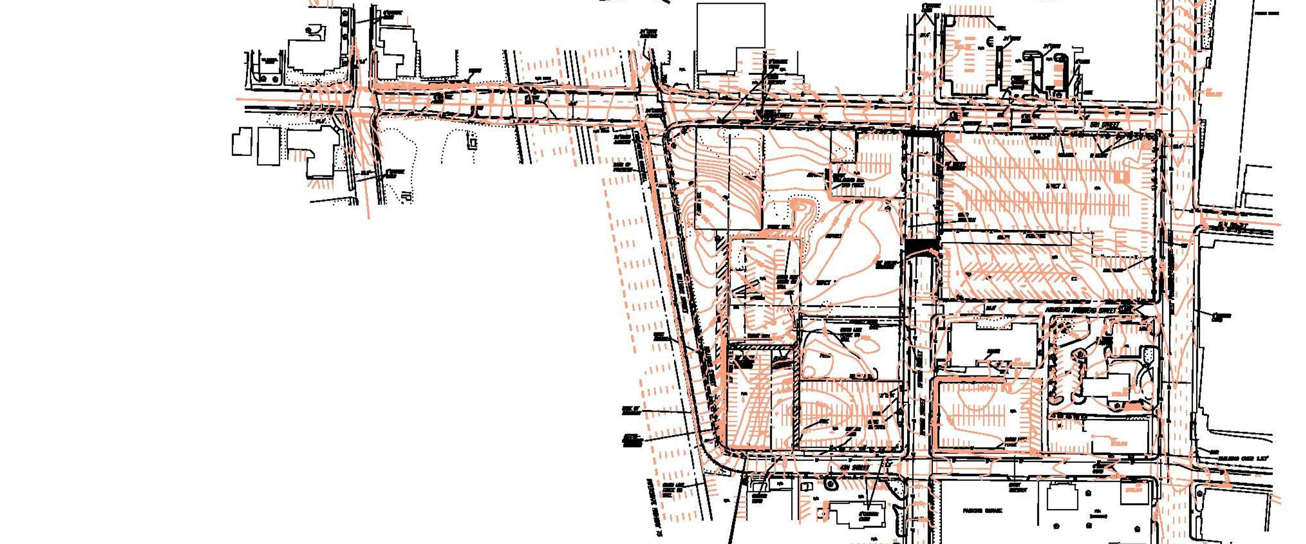
KCI performed a full topographical, utility and boundary survey of a 25-acre site for the expansion of the Georgia Institute of Technology campus.

Working within the constraints of the university’s location in downtown Atlanta, our team produced a full design site plan for the construction of proposed buildings. The survey accounted for all planimetric and topographical data and was paired with subsurface utility location. Once complete, KCI provided Georgia Tech with a set of electronic AutoCAD drawings with all subsurface utilities, property lines and topographical features identified.